Selling land for sale in rural Oklahoma is rarely just a transaction. It’s personal. It’s emotional. And sometimes, it’s complicated in ways no one could have predicted at the beginning.

This is the story of how we helped our sellers successfully close on nearly 80 acres in Jumbo, Oklahoma, after navigating one of the most challenging land transactions we’ve ever handled. It took almost 12 months, involved an unexpected title issue, and tested everyone’s patience—but in the end, it closed clean and strong.

If you’ve ever wondered how to sell land, especially in Southern Oklahoma, this experience offers real-world insight into why having the right representation truly matters.

A Special Piece of Southern Oklahoma Land

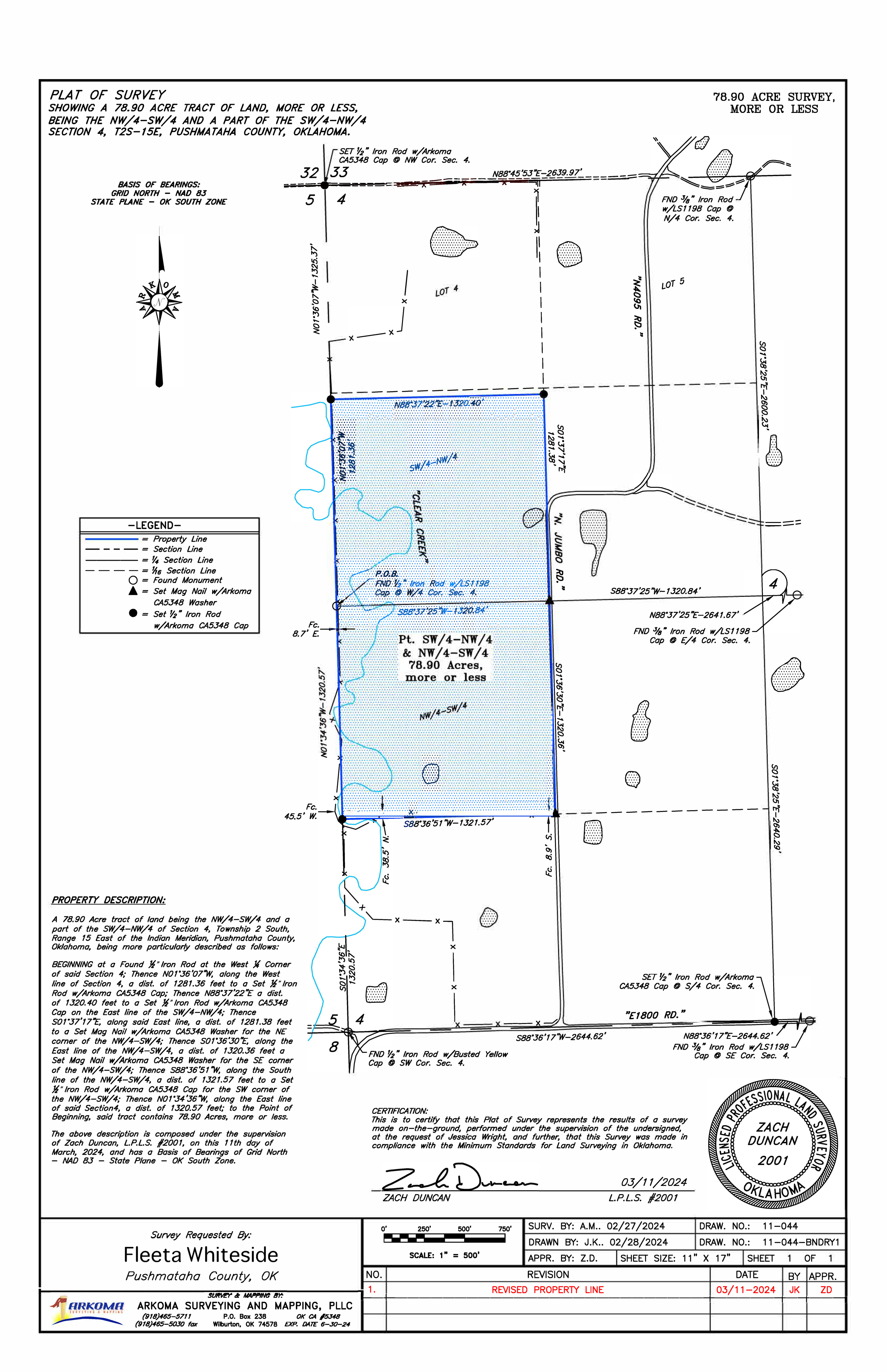
This property—approximately 78.90 acres—is located in the Jumbo area near Antlers, Oklahoma, in Pushmataha County. Like many tracts of land for sale in this region, it represented opportunity: recreational use, long-term investment, future homesite potential, and a deep connection to the land that so many Oklahoma families value.

You can view the property boundary details here:
👉 78.90 Acre Boundary Map

From the start, this looked like a straightforward transaction. The sellers owned the property free and clear, with no mortgage or known encumbrances. In most cases, that’s exactly what makes selling land in Oklahoma smooth.

Unfortunately, that wasn’t how this one unfolded.

When an Expired Contract Creates a Cloud on Title

During the transaction, an adjoining landowner filed a claim tied to an expired and legally null contract. While the agreement held no legal weight, the filing itself created a cloud on the title, effectively freezing the sale.

This is one of the most stressful situations a landowner can face.

Even when a claim is invalid, it can:

  • Prevent title insurance from being issued

  • Delay or halt a closing indefinitely

  • Force resolution through the court system

  • Create financial and emotional strain for sellers

For our clients, this meant their land—owned outright—was suddenly tied up in court for almost 12 months.

The Stress Sellers Don’t Expect

The hardest part for the sellers wasn’t just the delay—it was the uncertainty. They had done everything right, yet someone else’s action put their plans on hold.

This is where understanding how to sell land Oklahoma goes far beyond pricing and marketing. It becomes about guidance, communication, and advocacy.

Throughout the process, our role shifted from simply listing land for sale to helping our clients navigate an unfamiliar and frustrating legal landscape—while keeping their long-term interests protected.

Why Local Knowledge Truly Matters

Selling land in Southern Oklahoma isn’t the same as selling a house in town. Acreage transactions often involve long-standing property histories, neighboring landowners, and deeply rooted local customs.

Sometimes, it helps when you’re working with someone who grew up in Southern Oklahoma—someone who understands our culture, our traditions, and frankly, how we tick.

That local insight matters when tensions run high. It matters when patience is required. And it matters when knowing how to communicate calmly and clearly can make the difference between resolution and escalation.

This transaction required grit, integrity, and a steady hand.

Staying Committed for Almost 12 Months

Many deals fall apart when delays stretch from weeks into months. This one stretched to almost 12 months, and staying the course was not easy.

During that time, we:

  • Maintained consistent communication with the sellers

  • Coordinated with title professionals and legal counsel

  • Helped manage expectations while keeping momentum alive

  • Ensured every step protected the sellers from future risk

It takes experience to know when to push forward and when patience is the smarter move. More than anything, it takes commitment.

This was our second transaction with these sellers, which made the responsibility even greater. While this deal was tough, we’re grateful for the experience—it made us better professionals and better advocates for future clients.

The Value of Experienced Land Representation

There’s a reason buyers and sellers searching realtor near me, top land agents near me, or top texoma realtor should work with professionals who truly understand land.

Land transactions can involve:

  • Title disputes

  • Boundary and survey issues

  • Access and easement concerns

  • Longer timelines and higher complexity

If you’re trying to sell land Oklahoma or you’re looking for Antlers Oklahoma buy with top agent, experience isn’t optional—it’s essential.

A Closing That Meant More

After months of persistence, the title issue was resolved, the cloud was cleared, and the transaction finally closed.

The closing represented more than just a sale. It represented trust, resilience, and the value of staying committed even when the path isn’t easy.

We’re grateful to have worked alongside our cooperating agent, Elizabeth Jones, whose professionalism and collaboration helped bring this deal across the finish line.

Final Thoughts for Landowners

If you’re preparing to list land for sale or researching how to sell land, especially in rural Oklahoma, this story highlights an important truth:

Land sales require patience, experience, and local understanding.

At B&J Co. INC Realty, we’re honored when clients trust us with transactions that matter—not just when they’re easy, but when they’re hard.

Whether you’re buying acreage, selling land, or searching for a realtor near me who understands Oklahoma land from the ground up, we’re here to help every step of the way.

Brian & Jonelle